Копеечное средство, которое изгонит из огорода всю тлю: полузабытый метод из СССР
Совет дачникам
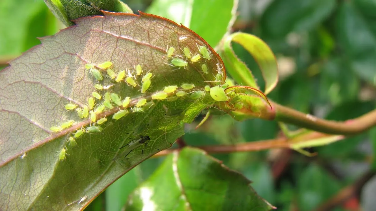
Этот крохотный вредитель становится настоящим бедствием для садоводов. Он может нанести значительный урон урожаю за короткое время. Мы говорим о тле, от которой крайне сложно избавиться. Канал «Мастер-Ок» рассказал о простом методе борьбы с вредителем.
Итак, прежде всего нам надо провести генеральную уборку на участке. Это значит провести обрезку растений, убрать листья и плоды. Обработать открытые места извёсткой или специальным отваром.
А теперь начинаем специальную операцию против тли. Будем использовать старый добрый железный купорос.
Берём любую ненужную ёмкость, куда заливаем пол-литра тёплой воды и засыпаем 300 гр. фунгицида. Размешиваем до полного растворения. Заливаем раствор в подготовленный опрыскиватель и доливаем чистую проточную воду. Всё, наше оружие для атаки тли готово. Наносите раствор на всё, что видите. Результат себя долго не заставит ждать.
Ранее мы вам рассказали, как бороться с медведками.
